Hurrikan „Melissa“ wütet auf Jamaika und steuert auf Kuba zu
„Melissa“ hat Jamaika mit voller Wucht getroffen. Foto: Matias Delacroix/AP/dpa
Mit voller Wucht ist der Hurrikan auf die Küste Jamaikas getroffen. Der Wirbelsturm deckte Dächer ab, stürzte Bäume um und überflutete Straßen. Tausende suchen Schutz in Notunterkünften.
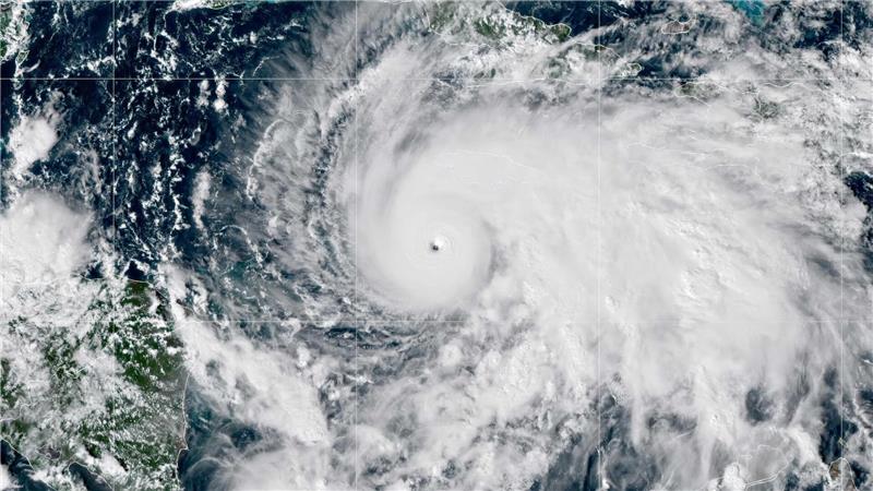
Kingston. Hurrikan „Melissa“ hat schon kurz nach seinem Eintreffen auf Jamaika verheerende Schäden angerichtet. Dächer wurden von Häusern und Krankenhäusern gerissen, Wassermassen schoben sich durch die Straßen und Bäume stürzten um, nachdem der Sturm mit Windgeschwindigkeiten von bis zu 295 Kilometern pro Stunde als ein Hurrikan der höchsten Kategorie 5 den Karibikstaat erreicht hatte. Er brachte zerstörerische Winde, Sturmfluten und heftige Regenfälle mit sich. Berichte über mögliche Opfer lagen zunächst nicht vor. Das gesamte Ausmaß der Schäden war noch unklar.
„Melissa“ war nahe der Ortschaft New Hope auf die Südwestküste Jamaikas auf Land getroffen. Laut dem NHC handelt es sich um einen der stärksten Hurrikane, die je im Atlantik aufgetreten sind. Über Land schwächte sich der Hurrikan zu einem immer noch gefährlichen Sturm der Stufe 4 mit Windgeschwindigkeiten von 240 Kilometern pro Stunde leicht ab, wie das US-Hurrikanzentrum (NHC) in Miami mitteilte.
Patienten in Krankenhaus in höheres Stockwerk verlegt
„Es gibt weitreichende Schäden im Südwesten in St. Elizabeth, viele Überschwemmungen, umfangreiche Windschäden an Schulen, Krankenhäusern und Häusern“, sagte Richard Thompson, Generaldirektor des Amtes für Katastrophenschutz und Notfallmanagement (ODPEM), dem US-Fernsehsender CNN.
Laut Gesundheitsminister Christopher Tufton wurden mindestens vier große Krankenhäuser erheblich beschädigt. In einer Klinik in St. Elizabeth mussten 75 Patienten wegen der Schäden in ein höheres Stockwerk verlegt werden, wie die Zeitung „Jamaica Gleaner“ berichtete. Videos, die von örtlichen Medien veröffentlicht wurden, zeigten überflutete Straßen, beschädigte Häuser sowie ein Hotel im Urlaubsziel Negril, in dem der Wind bei heftigen Regenfällen die Palmen am Strand gewaltig schüttelte.
„Jetzt ist nicht die Zeit, mutig zu sein“
Rund 6.000 Menschen suchten Schutz in Notunterkünften. Trotz der Aufrufe der Behörden galten die Zahlen der Schutzsuchenden in hochgefährdeten Gebieten wie Saint Elizabeth im Süden des Landes als niedrig. „Jetzt ist nicht die Zeit, mutig zu sein“, sagte der Minister für lokale Verwaltung, Desmond McKenzie. „Wettet nicht gegen Melissa, das ist eine Wette, die wir nicht gewinnen können“.
Sturm soll Kuba „mit voller Wucht“ erreichen
Während der Hurrikan auf Jamaika wütete, bereitete sich auch Kuba auf den Wirbelsturm vor. Der Hurrikan werde „mit voller Wucht“ bereits in der Nacht zum Mittwoch (Ortszeit) oder am frühen Mittwoch auf Land treffen, sagte Präsident Miguel Díaz-Canel. Der Sturm gelte als einer der stärksten, wenn nicht der stärkste, der Kuba jemals getroffen habe. Am Mittwochabend (Ortszeit) soll „Melissa“ schließlich in Richtung Bahamas weiterziehen.

„Melissa“ dürfte auch Kuba noch als starker Hurrikan erreichen. Foto: Ramon Espinosa/AP/dpa
Die Erderwärmung erhöht die Wahrscheinlichkeit starker Stürme
Tropische Wirbelstürme entstehen über warmem Ozeanwasser. Die zunehmende Erderwärmung erhöht Experten zufolge die Wahrscheinlichkeit starker Stürme. Die Hurrikansaison beginnt im Atlantik am 1. Juni und dauert bis zum 30. November.
Die Folgen von „Melissa“ könnten „möglicherweise beispiellos“ für das Land mit seinen 2,8 Millionen Einwohnern sein, teilte das Rote Kreuz mit. Auch Regierungschef Andrew Holness rechnete mit schweren Schäden. „In dieser Region gibt es keine Infrastruktur, die einem Hurrikan der Kategorie 5 standhalten kann“, sagte. Es werde definitiv zu Schäden an Dächern, Infrastruktur, Vegetation und den Häfen des Landes kommen.
Schlechtes Wetter wird nicht schnell vorbei sein
Der Leiter des jamaikanischen Wetterdienstes, Evan Thompson, sagte, der Durchzug des Hurrikans durch Jamaika werde zwar nicht einen ganzen Tag dauern. Jedoch werde es noch ein paar Tagen dauern, bis die Wetterbedingungen besser werden.
Das Hurrikanzentrum hatte vor „katastrophalen Winden“ gewarnt. Diese könnten in höher gelegenen Bergregionen noch bis zu 30 Prozent stärker sein. Im Bereich rund um das Auge des Hurrikans könnten Gebäude vollständig zerstört werden, hieß es. Außerdem rechnete das Zentrum mit „katastrophalen Sturzfluten“, Erdrutschen und bis zu vier Meter hohen Sturmfluten an der Südküste des Landes.

Die Regierung rief die gesamte Bevölkerung dazu auf, möglichst zu Hause zu bleiben. Foto: Matias Delacroix/AP/dpa
Für mehrere Ortschaften in den besonders gefährdeten Küstengebieten galten Evakuierungsanordnungen. Regierungschef Andrew Holness hatte die Bevölkerung dazu aufgerufen, möglichst zu Hause zu bleiben und den Anweisungen der Behörden zu folgen.
Bereits mehrere Tote
Bereits vor Erreichen Jamaikas sorgte „Melissa“ für Tote: In Haiti und der Dominikanischen Republik kamen nach heftigen Regenfällen mindestens vier Menschen ums Leben. In Jamaika wurden bei den Vorbereitungen auf den Sturm nach Angaben des Gesundheitsministeriums drei Menschen bei Unglücken beim Fällen von Bäumen getötet.
Die UN koordinieren über verschiedene Büros den Transport von Hilfsgütern für Jamaika über See von Barbados aus. „Ein Lufttransport von rund 2.000 Hilfspaketen ist ebenfalls geplant, sobald die Flughäfen wieder geöffnet sind und die Wetterbedingungen Flüge zulassen“, teilten die Vereinten Nationen mit.
Reservisten für Katastropheneinsatz einberufen
Die Streitkräfte riefen neben den regulären Soldaten auch Reservisten zum Dienst ein, um bei Rettungsarbeiten zu helfen, wie die Zeitung „The Gleaner“ berichtete. „Unsere Truppen, einschließlich der Reserve, werden vor Ort sein, um Hilfsmaßnahmen zu unterstützen, Gemeinden zu schützen und wichtige Versorgungsleistungen so schnell wie möglich wiederherzustellen“, sagte der amtierende Militärchef O’Neil Bogle.
Schon vor der Ankunft des Hurrikans waren mehr als 240.000 Haushalte ohne Strom - rund 35 Prozent aller Kunden der Jamaica Public Service Company. Verantwortlich dafür waren umgestürzte Stromleitungen und Schäden an der Infrastruktur durch starke Winde. In den am stärksten betroffenen Gebieten im Südwesten des Landes wie Saint Elizabeth und Manchester waren sogar 75 Prozent der Kunden von der Stromversorgung abgeschnitten, wie der Stromanbieter mitteilte.

Tausende Menschen waren ohne Strom. Foto: Matias Delacroix/AP/dpa

Der Hurrikan zog über den Nordwesten der Karibikinsel. Foto: Noaa/via ZUMA Press Wire/dpa

Mit voller Kraft trifft „Melissa“ auf die Küste Jamaikas. Foto: Matias Delacroix/AP/dpa

Die Behörden rechneten mit schweren Schäden. Foto: Matias Delacroix/AP/dpa

Viele Menschen in Kuba wurden in Sicherheit gebracht. Foto: Ramon Espinosa/AP/dpa

In Kuba bereiteten sich die Menschen auf die Ankunft von „Melissa“ vor. Foto: Odelyn Joseph/AP/dpa